「心臓が悪い」といわれた…うちの子どのくらい悪いの?心臓病の治療とステージ分類
今回はわんちゃんの心臓病の原因として最も多い僧帽弁閉鎖不全症の治療についてお話ししていきます。
まず、僧帽弁閉鎖不全症は心臓の中にある4つの弁のうち、僧帽弁という弁がうまく機能しなくなる病気です。すると心臓内で血液が逆流し、心臓に負荷がかかることで心臓が大きくなったり肺のうっ血が起きたりします。その結果、心不全や肺水腫になり、咳や呼吸困難を引き起こします。


心臓病の治療は無治療での経過観察から、投薬、外科治療まで治療内容に幅があります。どこまでの治療が必要なのか、その判断に有効となるのがステージ分類で、米国獣医内科学会(ACVIM)によるガイドラインをもとに心臓の状態と症状によりステージA~Dに分類されます。分類は聴診による身体検査以外にレントゲンや超音波等を組み合わせて行いステージを診断します。それぞれのステージにより、推奨される治療が異なります。
ステージA:現状心疾患はないが、心疾患のリスクがある犬種(キャバリア、チワワ、トイプードル、ミニチュアダックスフントなど)
→この段階ではもちろん治療は必要ありませんが、いわゆる疾患予備軍と考えるべきとされています。
ステージB:心雑音はあるが、咳や疲れやすさなどの症状はなし
B1:心臓拡大なし→B1では治療は必ずしも必要はありません。定期的な検査と経過観察が主な方針となります。
B2:心臓拡大あり→B2では症状がなくとも心不全リスクを軽減するために投薬治療を始めることが推奨されています。心拡大と症状の発症を遅らせることが投薬の目的となります。


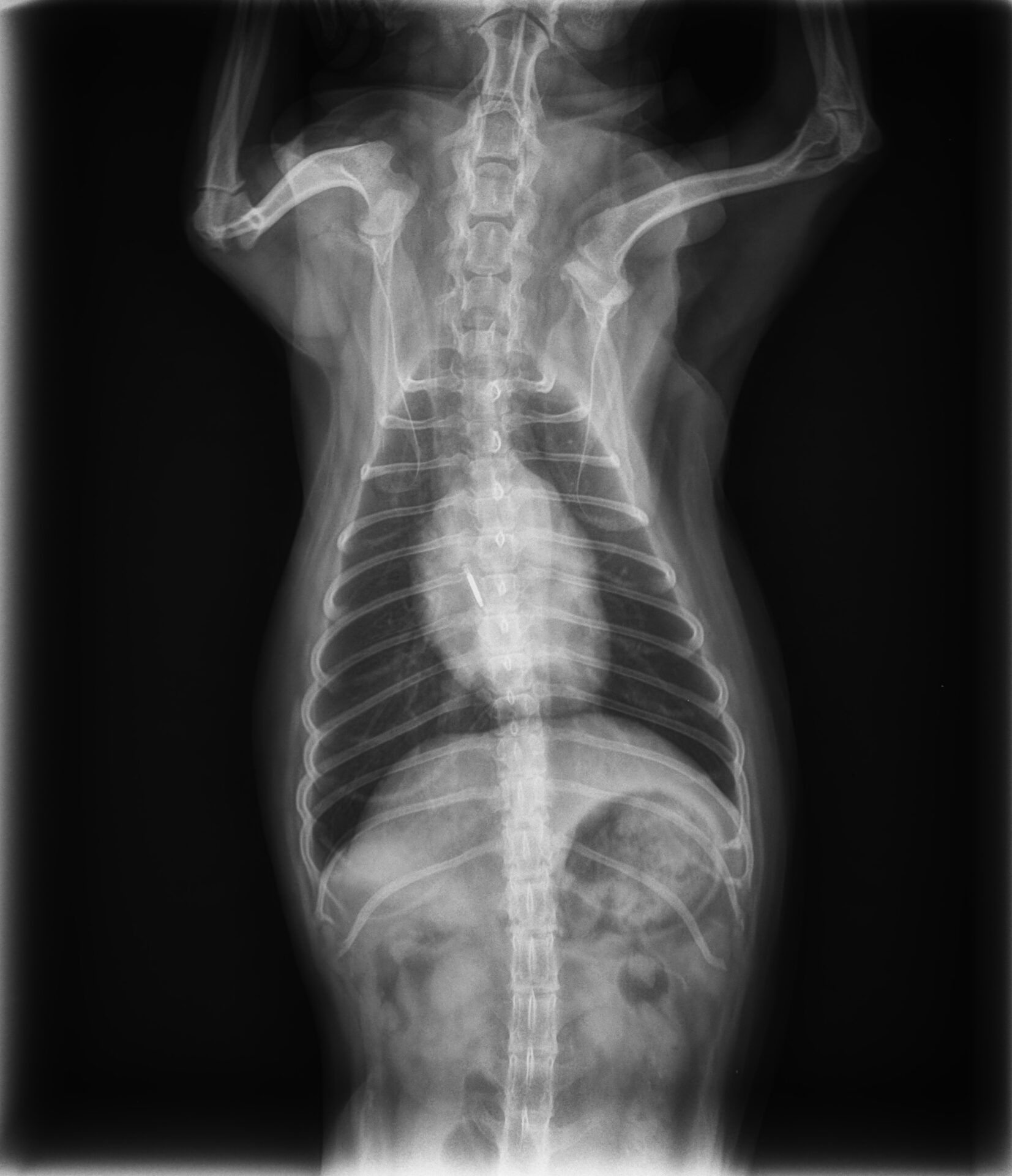
画像は心臓の拡大傾向を認めますが特に症状は見られない状態でした。
ステージC:心不全徴候あり(肺水腫)
→さらに進行し心不全の症状として肺水腫を発症した段階です。心不全(肺のうっ血)により肺に水が溜まり呼吸困難を呈した状態となっていて、ステージB2よりさらに複数の薬剤での治療が必要不可欠となります。


画像は前述の写真と同じ子の別時期のものです。肺に水がたまり(肺水腫)肺が白く写っています。息苦しさに気づき来院されました。
ステージD:内科、投薬での治療に反応が悪い状態(繰り返す肺水腫、失神など)
→適切に投薬を続けていても心不全を繰り返すことが多く、コントロールが困難な場合にステージDに分類されます。ステージCの投薬をさらに強化する必要があります。外科手術での弁修復術なども選択肢のひとつとなります。
このように、心臓病はその段階ごとに症状や必要な治療が大きく異なり、その後の経過にも影響を及ぼします。ステージB2(心雑音はあるが症状なし、検査上心臓は大きくなっている)の段階で治療を開始することが望ましいですが、症状がない以上ご自宅で異常に気付くことは困難です。ある日突然呼吸困難に陥ったり、命に関わるほどの呼吸困難となるケースも少なくないため、定期的な検診が必要となります。


